A Prefeitura de Marília encaminhou à Câmara, nesta terça-feira (27), um projeto de lei que propõe o prolongamento da rua Bento Biancardi, no Jardim Santa Paula. A medida busca organizar o crescimento da região e criar uma nova ligação viária.
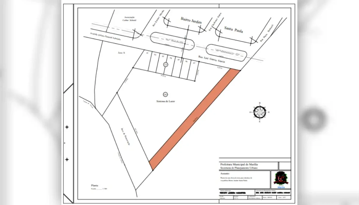
O texto tramita em regime de urgência e autoriza a transformação de uma área pública em via urbana. Com isso, o município poderá abrir oficialmente um trecho de 1.683,752 metros quadrados, conectando a rua José Garcia Garcia a uma área de preservação.
Além disso, o projeto redefine o uso de uma área maior, com mais de 37 mil metros quadrados, que passa a integrar o patrimônio dominial do município.
Região já tem moradias consolidadas
Segundo a Prefeitura, a proposta também busca regularizar uma situação já existente. Atualmente, cerca de 80 residências ocupam o local, ainda em processo de regularização fundiária.
Ao mesmo tempo, a área deve receber um novo conjunto habitacional com 304 unidades. O empreendimento será implantado pela BRNPAR Empreendimentos Ltda. dentro do programa habitacional Nossa Casa.
Infraestrutura e mobilidade no foco
De acordo com o projeto, a abertura da via deve melhorar a circulação e integrar os bairros. Dessa forma, a proposta prevê ligação entre as moradias já existentes e o futuro loteamento.
O plano inclui obras de infraestrutura básica. Entre elas, estão pavimentação, instalação de guias e sarjetas, iluminação pública e sistemas de drenagem, conforme estudos técnicos.
Além disso, a nova via deve facilitar o acesso a serviços públicos e contribuir para o transporte coletivo na região.
Agora, o projeto segue para análise das comissões da Câmara. Em seguida, os vereadores devem avaliar e votar a proposta em plenário.






